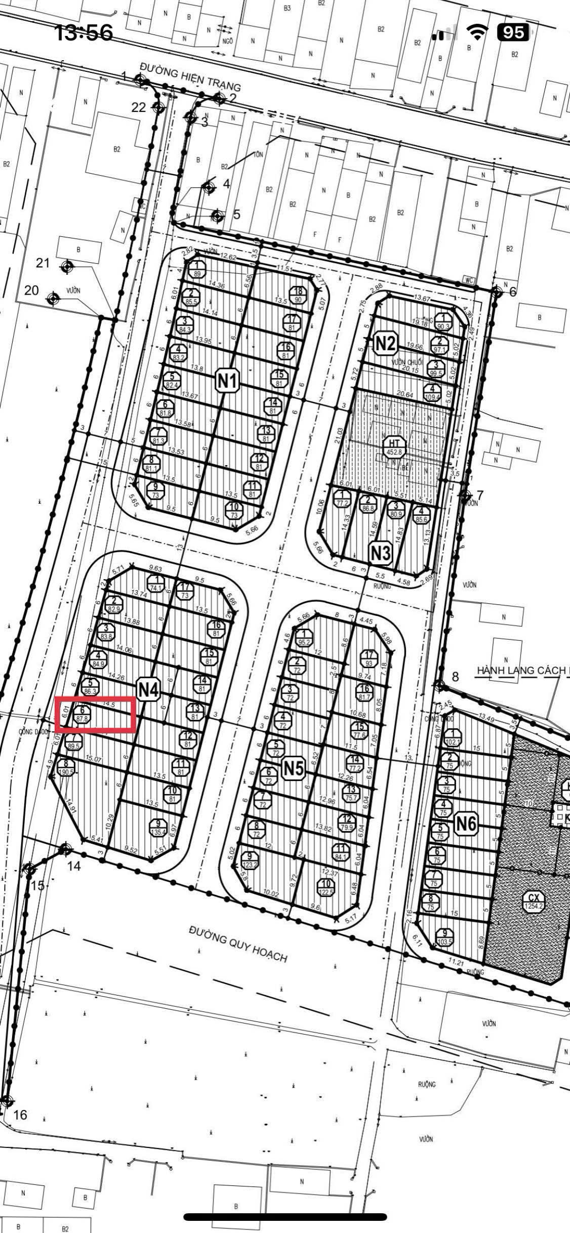
Đấu Giá Bái Trong Lô 06 - N4 Phường Hoa Động, Thuỷ Nguyên Duy nhất 1 lô đã có bìa N4 34339977 | Rongbay.com
Đang tải dữ liệu ...
Về trang chủ
Đang tải dữ liệu...

Đấu Giá Bái Trong Lô 06 - N4 Phường Hoa Động, Thuỷ Nguyên Duy nhất 1 lô đã có bìa N4

Thời gian: 16/10/2025-Lượt xem: 1-Mã tin: 34339977

Tăng lượt xem cho tin này * Lượt xem sẽ tăng ít nhất gấp 10 lần sau khi sử dụng

Tổng quan :

  • Giá : 3 tỷ 950 triệu
  • Diện tích : 87m2
  • Hướng: Tây bắc
  • Mặt tiền: Từ 5-7m
  • Giấy tờ pháp lý: Có sổ đỏ/ hồng
  • Dự án: đất ở Thủy Nguyên

Địa chỉ: Khu Đấu Giá Bái Trong, Xã Hoa Động, H.Thủy Nguyên, Hải Phòng- Xem bản đồ

Liên hệ người bán

0984495076

Chat hỏi người bán

Lưu tin

Thông tin thêm

Đấu Giá Bái Trong Lô 06 - N4 Phường Hoa Động, Thuỷ Nguyên

Duy nhất 1 lô đã có bìa ( N4 )
- Diện tích : 87m2
- Vị trí: Vị trí đắc địa Nằm cách trục tỉnh lộ 203 chỉ 20m, gần trường học các cấp 1-2, chợ, sân bóng, nhà văn hoá.. chỉ mất 5p di chuyển là đến trung tâm hành chính tp
- Cơ sở hạ tầng đồng bộ, điện cao áp, đường trải nhựa apphan rộng 15m

Giá đầu tư: 3,9xx

☎ Liên hệ: 0984485076 em Trà

Vị trí và tiện ích xung quanh