Chính chủ bán 8 lô liền kề tại thành lập lương sơn-hòa bình 34285978 | Rongbay.com
Đang tải dữ liệu ...
Về trang chủ
Đang tải dữ liệu...

Chính chủ bán 8 lô liền kề tại thành lập lương sơn-hòa bình

Thời gian: 20/08/2025-Lượt xem: 0-Mã tin: 34285978

Tăng lượt xem cho tin này * Lượt xem sẽ tăng ít nhất gấp 10 lần sau khi sử dụng

Tổng quan :

  • Giá : Thoả thuận
  • Diện tích : -1m2

Địa chỉ: Đường thành lập, lương sơn, Hoà Bình- Xem bản đồ

Liên hệ người bán

0978673331

Lưu tin

Thông tin thêm

Thông tin chi tiết dự án
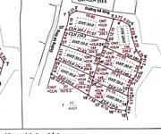
BÁN ĐẤT PHÂN LÔ LƯƠNG SƠN – ĐƯỜNG THÔNG GIÁ RẺ

Vị trí: Thành Lập – Lương Sơn – Hoà Bình
Giao thông thuận tiện, gần trung tâm xã

Diện tích đa dạng: 186.4 – 255.1m²
Khu dân cư hiện hữu, hàng xóm thân thiện, an ninh đảm bảo
Đường trước đất rộng, ô tô tránh nhau thoải mái
Tiện ích xung quanh: Cách chợ, trường học, trạm y tế và UBND xã chỉ vài phút đi bộ

Phù hợp:

Xây nhà ở định cư lâu dài

Đầu tư đón đầu phát triển khu vực

-PHÂN KHÚC GIÁ  LK1: 1.X tỷ — LK2: 1.X tỷ — LK3: 1.X tỷ — LK4: 1.X tỷ LK5: 1.X tỷ — LK6: 1.X tỷ — LK7: 1.X tỷ — LK8: 1.X tỷ

-LIÊN HỆ EM DŨNG ĐỂ BIẾT THÊM THÔNG TIN VÀ ĐI XEM ĐẤT MIỄN PHÍ Ạ

-HOTLINE:0978.67.3331   ZALO

-EM DŨNG CHUYÊN ĐẤT VEN ĐÔ : ĐẤT THẬT- TIỀN THẬT- GIÁ TRỊ THẬT

Vị trí và tiện ích xung quanh