Bán đất ở mặt đường trần phú nha trang khánh hoà 34392039 | Rongbay.com
Đang tải dữ liệu ...
Về trang chủ
Đang tải dữ liệu...

Bán đất ở mặt đường trần phú nha trang khánh hoà

Thời gian: 10/12/2025-Lượt xem: 0-Mã tin: 34392039

Tăng lượt xem cho tin này * Lượt xem sẽ tăng ít nhất gấp 10 lần sau khi sử dụng

Tổng quan :

  • Giá : 100 Triệu
  • Diện tích : 78m2

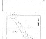
Địa chỉ: Đường Trần Phú, Vĩnh Nguyên, Khánh Hoà- Xem bản đồ

Liên hệ người bán

0869576456

Lưu tin

Thông tin thêm

BÁN 2 LÔ ĐẤT MẶT TIỀN ĐƯỜNG TRẦN PHÚ - VĨNH NGUYÊN - VỊ TRÍ KIM CƯƠNG ĐẮC ĐỊA TẠI NHA TRANG - KHÁNH HOÀ.

Hiện tại Khương có 2 lô Đất Nền Mặt đường Trần Phú, Tp. Biển Nha Trang cần bán

-  Diện tích: 258,9m ngang 7,07m dài 34 89m                                                

- Diện tích: 70m (ngang 3,6m dài 20,8m).                                                   

Có bán lẻ từng sổ
- Hướng đông nam mát mẻ quanh năm
- Đường rộng 15m
- Pháp lý sổ hồng , có bảng check QH đầy đủ
- Phù hợp xây ở đầu tư, xây căn hộ hoặc khách sạn kinh doanh , nhà hàng hải sản...
- Vị trí cực kì đắc địa, cách KDT Vinpearl Phú Quý và Cáp treo chỉ 3km, gần Bệnh Viện Quốc tế Vinmec, gần quán hải sản Thanh Sương nổi tiếng...
Giá : 100 triệu / m2
☎Liên hệ : 0869 576 456 Mr.Khương

Kênh Youtube: https://www.youtube.com/@khuongnhadat79

Vị trí và tiện ích xung quanh