Gấp bán mt nhà 4.6x25 nguyễn ảnh thủ, hiệp thành cách lê văn khương 300m 34300958 | Rongbay.com
Đang tải dữ liệu ...
Về trang chủ
Đang tải dữ liệu...

Gấp bán mt nhà 4.6x25 nguyễn ảnh thủ, hiệp thành cách lê văn khương 300m

Thời gian: 08/09/2025-Lượt xem: 1-Mã tin: 34300958

Tăng lượt xem cho tin này * Lượt xem sẽ tăng ít nhất gấp 10 lần sau khi sử dụng

Tổng quan :

  • Giá : 14,5 tỷ
  • Diện tích : 115m2

Địa chỉ: Đường Nguyễn Ảnh Thủ, Hiệp Thành, TP HCM- Xem bản đồ

Liên hệ người bán

0909805456

Lưu tin

Thông tin thêm

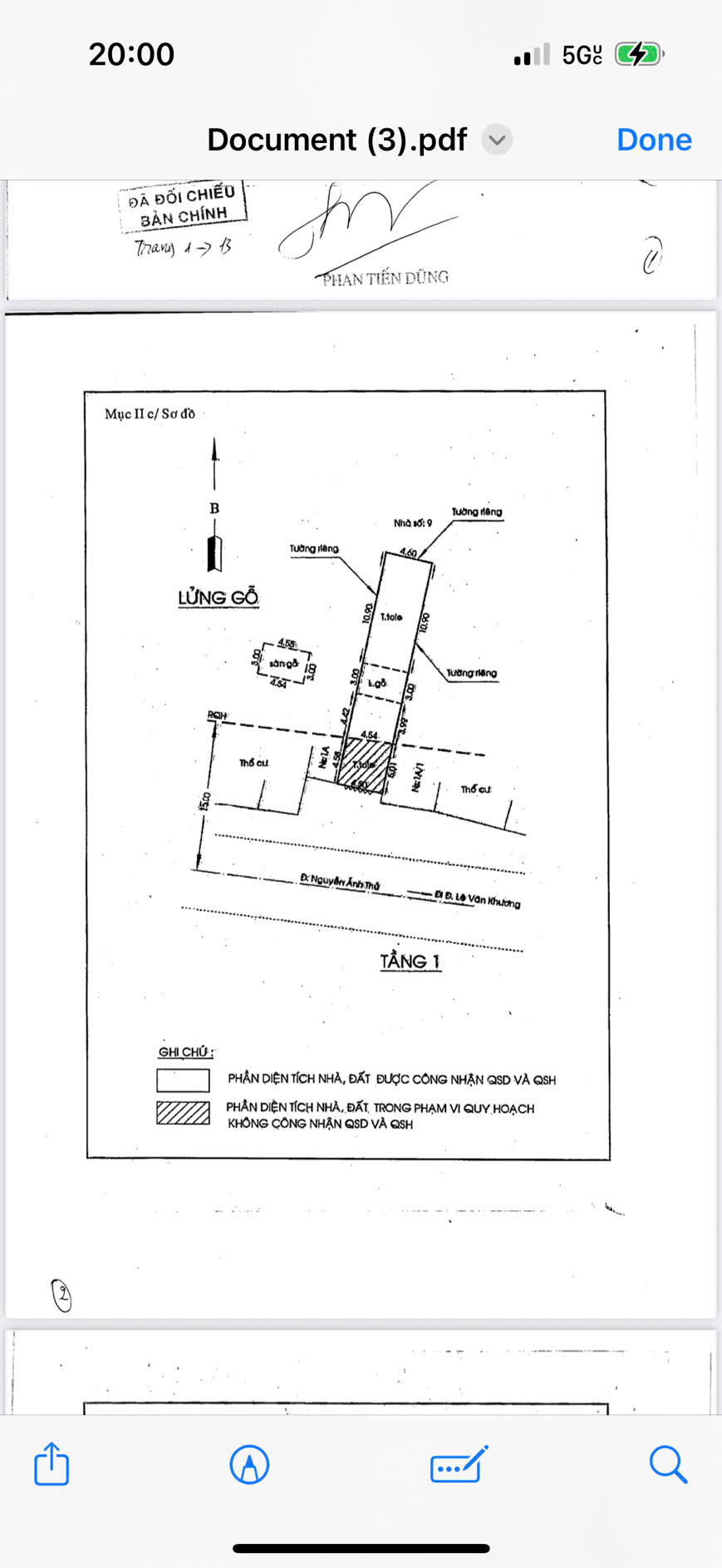
HOT – BÁN MẶT BẰNG KINH DOANH VIP NGUYỄN ẢNH THỦ, HIỆP THÀNH, Q.12 – ĐOẠN ĐẸP NHẤT
Vị trí vàng: Ngay đoạn đẹp nhất Nguyễn Ảnh Thủ – Gần Lê Văn Khương, tuyến đường kinh doanh sầm uất bậc nhất Q.12.
Đang cho thuê 30 triệu/tháng – Dòng tiền ổn định, mua là có lợi nhuận ngay.
Diện tích: Ngang 4,5m (nở hậu 4,6m) x 25m.
Kết cấu: 1 trệt, 1 lầu – Thích hợp vừa ở vừa kinh doanh hoặc khai thác cho thuê.
Pháp lý: Sổ hồng riêng, bao sang tên nhanh chóng.
Khu vực cực hiếm nhà bán – đầu tư chắc thắng, sinh lời bền vững trong tương lai.
Giá: 14 tỷ 500 triệu (thương lượng trực tiếp) – Cơ hội tốt cho khách mua nhanh tay!
LIÊN HỆ NGAY: 0909.805.456 MỸ NHÀ TỐT   
CAM KẾT THÔNG TIN BĐS THẬT

Vị trí và tiện ích xung quanh